Share this Listing
Location
Key Details
$450,000.00
1 Baths
Recreation
Bungalow
896 SQ.FT
1979
Torch River Rm No. 488
Description
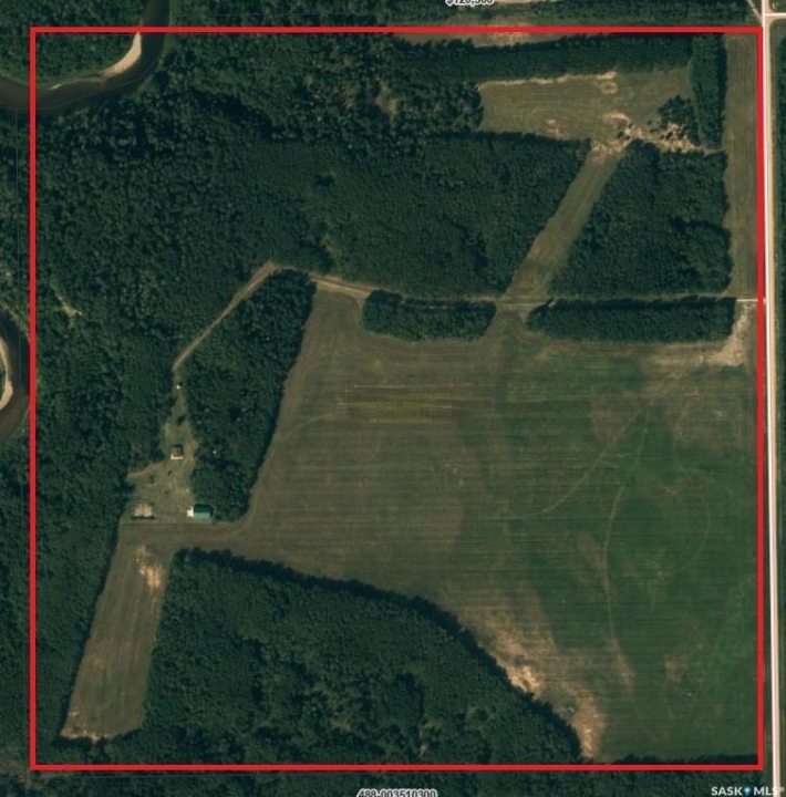
Pride of ownership shines throughout this stunning recreational quarter, the perfect blend of comfort and wilderness. You'll be greeted by a charming tree-lined lane that opens to a warm and inviting bungalow home, handy storage shed, and an impressive 40'x60' shop. The home features 2 bedrooms, an open-concept kitchen and living space, cozy wood stove, and electric baseboard heat—offering year-round comfort with rustic charm. A drilled well, septic tank with field, and underground power bring modern conveniences to this private escape. The land itself is a dream for outdoor enthusiasts—partially fenced and laced with winding trails ideal for hiking, quadding, or exploring on foot. Follow the paths to the beautiful Torch River, which gently winds along the northwest edge of the property, offering a peaceful spot to relax, fish, or simply enjoy nature at its finest. Whether you're seeking a family getaway, a hunter's haven, or a private retreat to recharge, this property offers endless opportunities to embrace the great outdoors. Cultivated acres are currently seeded to Timothy and Brome. Call today for details!
Listing courtesy of Mollberg Agencies Inc.
More Info
City: Torch River Rm No. 488
Square Footage: 896
Year Built: 1979
Style: Bungalow
Type: House
Roof: Asphalt Shingles
Bush: Some
Distance High School: 32
Distance Town: 20
Drinking Water: Yes
Exterior: Siding
Heating: Baseboard, Electric
Land Size: 158.17
School Bus: Yes
Sewage Disposal: Septic Field,septic Tank
Sloughs: None
Topography: Flat
Total Acres: 158.1700
Water Heater: Included
Sub Area: White Fox
Listed By: Mollberg Agencies Inc.
